ESCÂNDALO: empresas ligadas ao deputado Saullo Vianna chamam atenção por receberem milhões dos cofres públicos
Manaus – Um escândalo envolvendo empresas contratadas por órgãos públicos e supostas ligações com o deputado federal Saullo Vianna (União-AM) vem à tona, chamando a atenção para a gestão de recursos públicos no Amazonas. Empresas como a P1 Construtora Ltda e a SVX Serviços Profissionais, Construções e Transporte Ltda ME têm sido alvo de investigações e críticas por seus contratos milionários duvidosos.
Relação com a SEMSA
A P1 Construtora Ltda foi contratada pela Prefeitura de Manaus, via Secretaria Municipal de Saúde (Semsa), para realizar serviços de pintura de prédios e restauração de gradis. Este contrato, que envolve uma quantia significativa de 9 milhões de reais, tem chamado a atenção visto o alto valor contratado para pintar os prédios da secretaria. O empresário por trás da P1 Construtora Ltda é Julie Rodrigo Porto da Silva, que possui conexões com o deputado federal Saullo Vianna.

Relação com a SEDUC
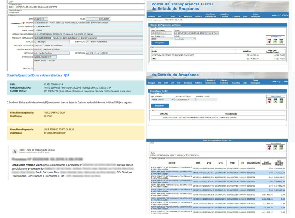
A SVX Serviços Profissionais, Construções e Transporte Ltda ME manteve contratos com o Governo do Estado, por meio da Secretaria de Estado da Educação e Desporto (Seduc), e recebeu uma quantia impressionante de mais de R$ 22,1 milhões em 2020, como apontam os registros do Portal da Transparência. Esta empresa também tem sido alvo de investigações, principalmente em relação às suas ligações com o deputado Saullo Vianna.

Empresa ligada à Saullo Vianna mudou de nome 3 vezes
A empresa ligada ao deputado Saullo Vianna passou por uma série de transformações ao longo do tempo, mudando sua identificação em três ocasiões distintas. Inicialmente denominada Amsterdam Serviços Profissionais de Limpeza, Conservação e Construções Ltda: a empresa era conhecida por esse nome e tinha Célia Vianna, mãe do deputado Saullo Vianna, como sócia-proprietária. Em certo ponto, essa empresa passou a se chamar:
SVX Serviços Profissionais, Construções e Transporte Ltda ME: Durante essa fase, Saullo Vianna era procurador da empresa e seu nome estava ligado a ela. Foi nessa época também que Saullo era candidato a deputado estadual. Também em 2018, no governo de Amazonino Mendes, a SVX R$ 33 milhões do Governo do Estado. Após isto, houve uma transformação para:
Porto Serviços Profissionais, Construções e Manutenção Ltda: Esta empresa surgiu após modificações no nome, mantendo o mesmo CNPJ da SVX Serviços. Nessa etapa, Julie Rodrigo Porto da Silva apareceu à frente do negócio como sócio. Neste ponto, o deputado foi alvo em 2018 durante a Operação Ponto de Parada, por suspeitas de corrupção. O único nome que permaneceu como sócio nas três mudanças de nome é o de Paulo Sampaio Silva, tanto na Amsterdam, quanto na SVX e Porto Serviços.
Estas mudanças de nome e continuidade do CNPJ ocorreram em um contexto de investigações, o que suscita dúvidas e questionamentos sobre a natureza dessas alterações. Todas essas empresas mantiveram laços com Saullo Vianna e com membros de sua família, como Célia Vianna, e posteriormente com Julie Rodrigo, gerando suspeitas de práticas irregulares e desvio de recursos públicos.
No caso da empresa P1 Construtora Ltda, a ligação com o deputado Saullo Vianna ocorre justamente porque Julie Rodrigo Porto da Silva, que está envolvido com a empresa Porto Serviços, ligada à família do deputado Saullo, também é sócio-proprietária da P1, como confirma a própria Receita Federal:

Investigações e Operações
- Operação Ponto de Parada:(2020): A Operação Ponto de Parada foi uma investigação realizada pela Polícia Federal no Amazonas que teve como objetivo desarticular um esquema de desvio de recursos do Programa Nacional de Transporte Escolar e do Fundo de Manutenção e Desenvolvimento da Educação Básica (Fundeb) em Presidente Figueiredo, município localizado no estado do Amazonas.O deputado estadual, Saullo Vianna, foi um dos alvos dessa operação, onde foram cumpridos 11 mandados judiciais, sendo sete de busca e apreensão e quatro de prisão temporária. Apesar de ter sido alvo da operação, Saullo Vianna não foi preso.A investigação apontou para a existência de um esquema de superfaturamento em contratos de transporte escolar. A empresa RAV Construções e Transportes, subcontratada para os serviços de transporte escolar, recebeu um valor considerável, totalizando R$12.989.072,99, havendo indícios de superfaturamento de R$3,9 milhões em verbas federais. Além disso, identificou-se um superfaturamento de R$1.865.091,81 para a aquisição de combustível, com recursos ordinários do município.
- Operação Cachoeira Limpa (2021): A Operação Cachoeira Limpa foi uma ação realizada pelo Ministério Público do Amazonas (MPAM) em conjunto com a Polícia Civil. O principal objetivo era investigar possíveis crimes cometidos pelo deputado estadual Saullo Vianna e outras autoridades públicas durante o período em que Romeiro José Costeira Mendonça foi prefeito de Presidente Figueiredo, entre os anos de 2017 e 2020.Segundo as investigações, a suspeita recai sobre um suposto esquema que teria causado um prejuízo de R$23 milhões à cidade, envolvendo práticas ilícitas como peculato (desvio de dinheiro público), lavagem de dinheiro, fraude à licitação e possível participação em uma organização criminosa.A operação envolveu o cumprimento de 13 mandados de busca e apreensão e 12 mandados de busca pessoal nas cidades de Presidente Figueiredo, Parintins e Manaus. As investigações apontaram para a criação de diversas pessoas jurídicas para dissimular o desvio de recursos públicos, alegando que tais entidades eram controladas pelo deputado Saullo Vianna.Além disso, os relatórios financeiros indicaram uma conexão suspeita entre as empresas que participaram dos mesmos processos licitatórios, sugerindo uma possível movimentação de valores entre essas empresas, além do pagamento de contas pessoais do deputado Saullo Vianna e de sua mãe pelas empresas investigadas.








